房総・外房の田舎暮らし、海近リゾート、永住、別荘、エリア別・カテゴリ別など目的別に物件検索できる千葉の不動産サイト

千葉 不動産・物件【エヌ・ビー・ホーム】 | 会社案内 | サイトマップ |
物件番号:NR0186 長柄町山根 1億円

売り地 JR外房線茂原駅9.6km 
茂原街道より450m北に上がった場所で約2,500坪の平坦な更地
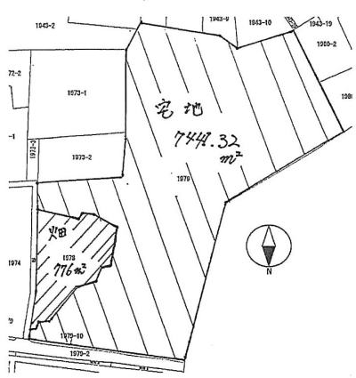
土地は二筆で約2,250坪が宅地、約234坪が農地です
周辺は民家が少なく倉庫・配送センターなどの事業用に適しているでしょう
圏央道IC約9kmと主要道路「千葉茂原線」が近く交通のアクセス良好です
圏央道「茂原長南」IC8.5km 、「茂原北」IC9.8km 長柄町役場4.5km
 
  北東から南西方向   南西側
  北から南方向   南側
  北西から南西方向   南東側
  北東から南東方向   北西側

配置図、間取り図






地    図

物件種目 売り地 建ペイ率/容積率 70%/400%
価格 1億円 接道状況 北側4m
所在地 長生郡長柄町山根 地目 宅地 
交通 JR外房線茂原駅 現況 更地
土地面積 8,217.32u(2,485.73坪) 設備 東京電力、公営水道、PG、浄化槽
建物面積/間取 u(坪)/ 態様 仲介
築年月/構造 年月/木造2階建 コメント
都市計画/用途地域 未線引/無指定


詳しい地図、周辺施設はこちら↓

案内図
Copyright (C) 2006 NBhome All right reserved.